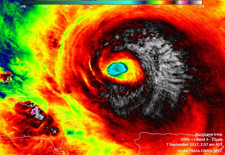
NASA Earth-observing satellites show different sides of Category 5 Hurricane #Irma as it headed for the Turks & Caicos Islands: http://go.nasa.gov/2eQAqip
NASA Earth-observing satellites show different sides of Category 5 Hurricane #Irma as it headed for the Turks & Caicos Islands: http://go.nasa.gov/2eQAqip
